概要
平面図に設計面データを2枚使用した切土・盛土図の表示を行います。
手順
1-1.設計面の設定
1) 設計面データは、プロジェクト作成時に予め設定または追加設定します。
<地表面観測後に作成した面データ>(別記事)の使用も可能です。
1-2.比較する設計面を設定
1) <設定> → <2枚目の地表面>を選択します。
2) 2枚目の地表面設定:切土・盛土表示を行う設計面を選択します。
2枚目の地表面にオフセット設定を行う場合、オフセット設定3項目を設定します。
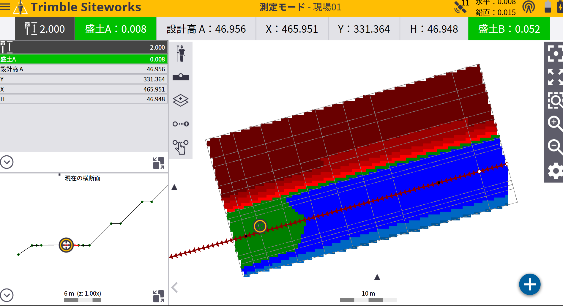
1-3.切土・盛土表示設定
1) 平面図右側の設定アイコンを選択します。
2) 確認図グリッドにて、<切土/盛土:表面A-B>を選択後、グリッドサイズを設定します。
(グリッドサイズは、随時変更可能です)
3) 指定されたグリッドサイズにて切土/盛土図が表示されます。
切土・盛土の色分布の設定は、<観測設定>(別記事)より設定が可能です。
コメント
0件のコメント
サインインしてコメントを残してください。